☆検索

What's New

What's New一覧>>>

社会貢献活動

カンボジア学校建設支援      【やくそくプロジェクト】

劣悪な環境での就学を余儀なくされている子どもたちのために、私たちができる小さなことを、できるだけたくさん、できるだけ長く続けていきたい。そう思っています。

当社の御案内

会社案内

マーケットトラスト会社案内

事業内容

マーケットトラスト事業案内

売買仲介・販売代理物件

マーケットトラスト 売買仲介・販売代理 物件情報

関連Link

Link-日本住宅保証検査機構

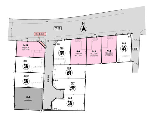
売地

下鶴間

近隣に育児施設・商業施設多数あり!お好きなハウスメーカーで建築できます♪

価格 No.1:3480万円 No.2:2680万円
交通・駅名

小田急江ノ島線 「鶴間」駅 

バス・徒歩 バス:-分 徒歩:15
土地面積

No.1:148.49㎡(約44.91坪) No2:128.29㎡(約38.80坪)

建築条件

物件概要

土地権利 所有権 容積率

80%

販売区画数

2区画(全2区画)

接道状況
一方
地目 山林 現況
更地
都市計画
市街化区域
設備
公営水道・公共下水・個別プロパン
用途地域

第1種低層住居専用地域

最適用途
住宅
建蔽率
50%
 引渡日 相談
周辺環境

■交通

 小田急江ノ島線 「鶴間」駅 徒歩15分

■教育施設等

 林間小学校   徒歩17分

 鶴間中学校   徒歩9分

 大和山王幼稚園 徒歩6分

 木の子保育園  徒歩8分

■商業施設等

 ローソン     徒歩6分

 ドンキホーテ   徒歩5分

 業務スーパー   徒歩5分

 大和オークシティ 徒歩6分

■その他

 大和下鶴間郵便局 徒歩2分

備考

 ●分筆前につき面積に若干の増減が発生する場合がございます。

 ●No.1・2の一部に上空の地役権がありますが、地上約26mの高さまで建築可能です。

 ●敷地全体に高低差がございます。

取引形態 売主
情報公開日 2025-11-09

お問合せ先

会社名-支店: マーケットトラスト
ご連絡先: 046-200-0838

メモ: * は入力必須項目です