☆検索

What's New

What's New一覧>>>

社会貢献活動

カンボジア学校建設支援      【やくそくプロジェクト】

劣悪な環境での就学を余儀なくされている子どもたちのために、私たちができる小さなことを、できるだけたくさん、できるだけ長く続けていきたい。そう思っています。

当社の御案内

会社案内

マーケットトラスト会社案内

事業内容

マーケットトラスト事業案内

売買仲介・販売代理物件

マーケットトラスト 売買仲介・販売代理 物件情報

関連Link

Link-日本住宅保証検査機構

売地

物件名

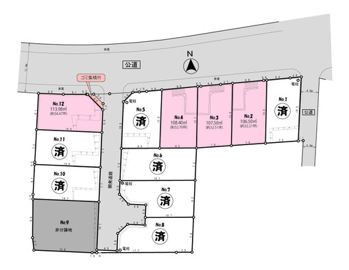
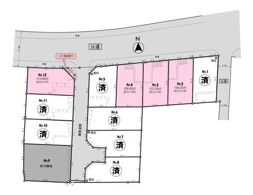
全12区画の開発分譲地!お好きなハウスメーカーで建築できます♪

価格 万円
交通・駅名

〇〇線 「〇〇」駅 

バス・徒歩 バス:-分 徒歩:-
土地面積

建築条件

物件概要

土地権利 所有権 容積率

〇〇%

販売区画数

〇区画(全〇区画)

接道状況
一方・角地
地目  宅地 現況
更地
都市計画
市街化区域
設備
公営水道・公共下水・都市ガス
用途地域

第1種住居地域

最適用途
住宅
建蔽率
〇〇%
 引渡日 相談
周辺環境

■交通

 〇〇線 「〇〇」駅 バス-分「〇〇」停 徒歩-分

■教育施設等

 〇〇小学校 徒歩-分

 〇〇中学校 徒歩-分

 幼稚園 徒歩-分

 保育園 徒歩-分

■商業施設等

 ファミリーマート 徒歩4分

 セブンイレブン 徒歩7分

 セイムズ 徒歩14分

■その他

 キツツキの森・綾南公園 徒歩7分

備考

 

 

取引形態 売主
情報公開日 2023-06-24

お問合せ先

会社名-支店: マーケットトラスト
ご連絡先: 046-200-0838

メモ: * は入力必須項目です