| 価格 | 万円 | 
| 交通・駅名 | 
                    〇〇線 「〇〇」駅  | 
| バス・徒歩 | バス:-分 徒歩:-分 | 
| 土地面積 | ㎡ | 
| 建築条件 | 無 | 
 
    
| 土地権利 | 所有権 | 容積率 | 〇〇% | 
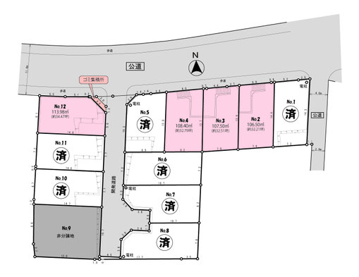
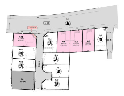
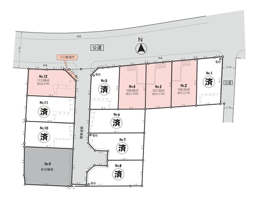
| 販売区画数 | 〇区画(全〇区画) | 接道状況 | 一方・角地 | 
| 地目 | 宅地 | 現況 | 更地 | 
| 都市計画 | 市街化区域 | 設備 | 公営水道・公共下水・都市ガス | 
| 用途地域 | 第1種住居地域 | 最適用途 | 住宅 | 
| 建蔽率 | 〇〇% | 引渡日 | 相談 | 
| 周辺環境 | ■交通 〇〇線 「〇〇」駅 バス-分「〇〇」停 徒歩-分 ■教育施設等 〇〇小学校 徒歩-分 〇〇中学校 徒歩-分 幼稚園 徒歩-分 保育園 徒歩-分 ■商業施設等 ファミリーマート 徒歩4分 セブンイレブン 徒歩7分 セイムズ 徒歩14分 ■その他 キツツキの森・綾南公園 徒歩7分 | ||
| 備考 | ● 
 | ||
| 取引形態 | 売主 | ||
| 情報公開日 | 2023-06-24 | ||
    会社名-支店: マーケットトラスト
    ご連絡先: 046-200-0838